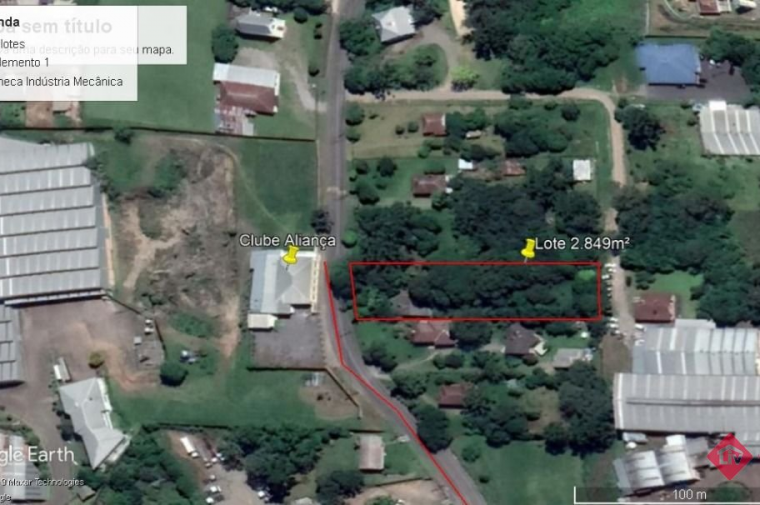
Terreno Clube Aliança

Terreno Clube Aliança

Cód 2311

Terreno

Santo Antonio - Caxias do Sul

2849m²

R$ 2.100.000

Descrição do imóvel

Terreno em rua asfaltada, frente ao clube Aliança e próximo a rótula da Rota do Sol, com frente para 2 ruas, medindo 25 x 113,96, contendo uma casa de alvenaria com aproximadamente 80m², 2 dormitórios, lareira, etc...

Mapa (aproximado)

Confira as aproximações no mapa